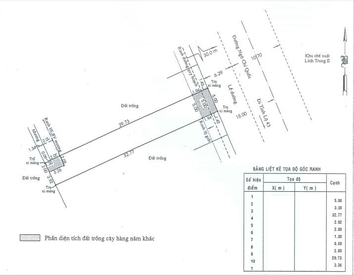
<260BC>: Bán đất, Đường Ngô Chí Quốc, Phường Bình Chiểu. Đường nhựa 10m.
Giá:
11 tỷ 240 Tr
Diện tích:
181 m2
Địa chỉ tài sản: Đường Ngô Chí Quốc, Phường Bình Chiểu, Phường Bình Chiểu, Quận Thủ Đức, Hồ Chí Minh
Các thông tin khác
| Mã tin | 260BC | Hướng | Đông - Bắc | Nhà bếp | |
| Loại tin | Cần bán | Số phòng ngủ | Số lầu | ||
| Loại BDS | Pháp lý | sổ hồng | Sân thượng | ||
<260BC>: Bán đất, Đường Ngô Chí Quốc, Phường Bình Chiểu. Đường nhựa 10m.
Đất sổ hồng từng lô, full thổ cư
* Tiện ích xung quanh:
– Gần khu dân hiện hữu
– Sổ hồng nên công chứng nhanh.
– Hỗ trợ bên mua vay ngân hàng.
– Liền kề chợ nông sản Thủ Đức và dự án Thủ Đức House
* Diện tích đất: 181.3m2 (ngang 5.30m x dài 32.72m) – đất ở: 157.7m2; đất trồng cây: 23.6m2
Hướng: Đông Bắc
Giá : 11.24 tỷ (62 triệu/m)




